8 McClaren, Murray Bridge 8 McClaren, Murray Bridge 8 McClaren, Murray Bridge 8 McClaren, Murray Bridge 8 McClaren, Murray Bridge 8 McClaren, Murray Bridge 8 McClaren, Murray Bridge
3 more photos

Sold


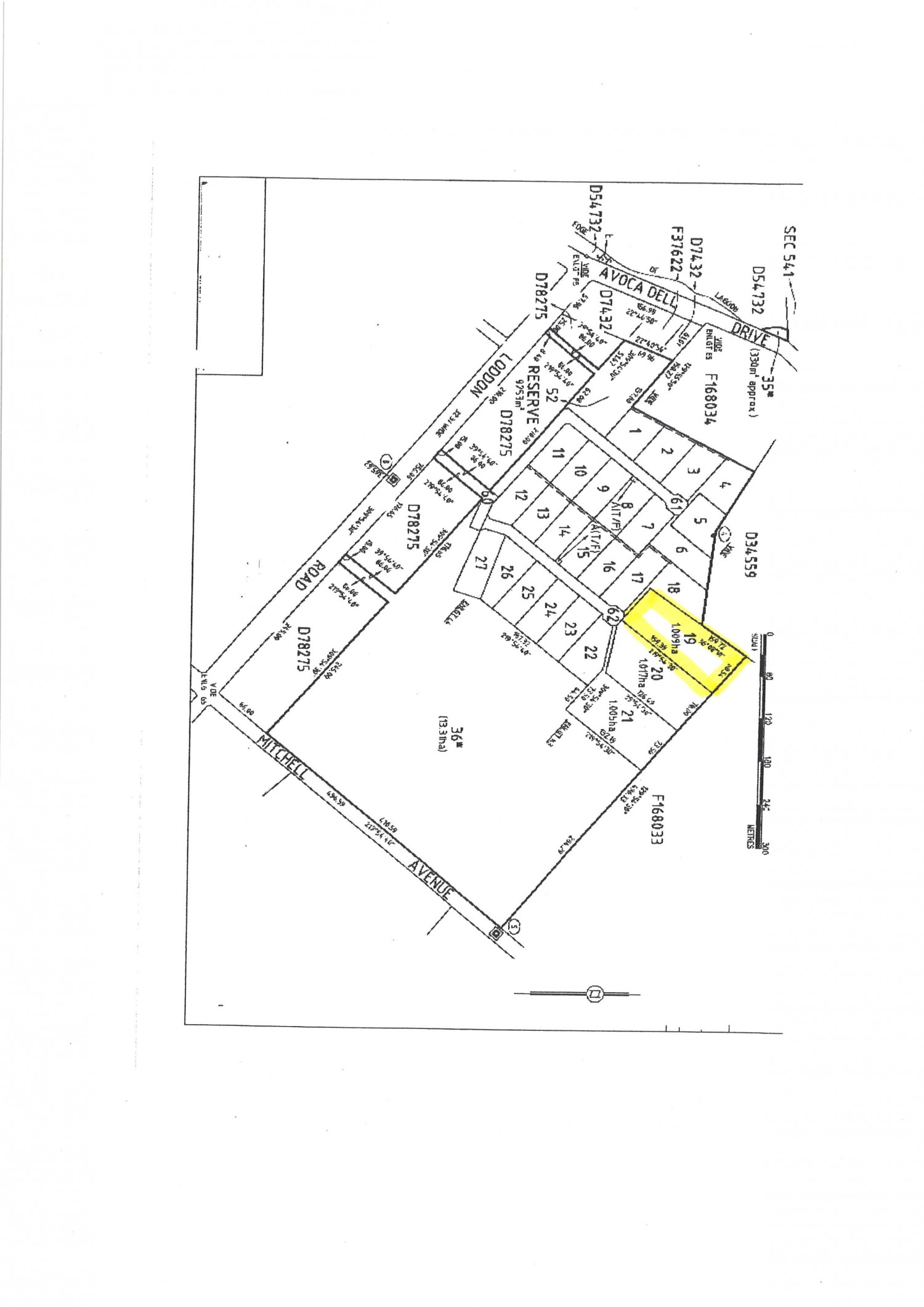
8 McClaren, Murray Bridge

  • Land 1.009 Hectare

Sold

Size, Location and View

Located over the East Side in one of the most sort after locations, with new and modern homes all around that promises the comfort of knowing that your investment will hold its' value for years to come, this piece of dirt measuring approximately 1.009ha (2.5acres) is that special bit of land you have been searching for with peace and quiet insured and room to do what you please. Power and water already connected with fully bituminised road and neat and tidy curbing at your entrance, all the hard work is done bar finishing it off with your dream home. Pick a spot on the block that best captures the river views to sit and enjoy. It has the size, is in a great location, has all the amenities already connected and a view that will be the envy of your friends. One not to be missed.

Features

  • Type: Residential Land
  • Land Size: 1.009 Hectare approx.
  • Location

    8 McClaren, Murray Bridge

    Make an enquiry

    John Leahy

    0419718840